മഹാരാഷ്ട്ര, ഗോവ, കര്ണാടക എന്നീ സംസ്ഥാനങ്ങളില് കനത്ത ജാഗ്രതാനിര്ദ്ദേശം നല്കി.
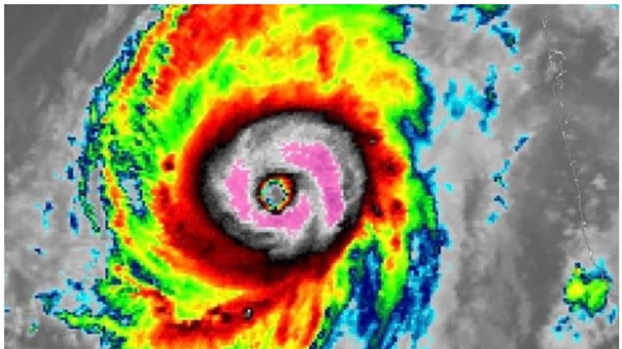
മുംബൈ: മഹാരാഷ്ട്ര തീരത്തോട് ചേർന്ന് അറബിക്കടലിൽ രൂപം കൊണ്ട ക്യാർ ചുഴലിക്കാറ്റ് കൂടുതല് ശക്തിപ്രാപിച്ച് അതിതീവ്ര ചുഴലിയായി മാറിയതായാണ് റിപ്പോര്ട്ട്. ചുഴലിക്കാറ്റ് ഒമാൻ തീരത്തേക്ക് നീങ്ങിത്തുടങ്ങിയിട്ടുണ്ട്. കൂടുതല് ശക്തിപ്രാപിച്ചതിനാല് മഹാരാഷ്ട്ര, ഗോവ, കര്ണാടക എന്നീ സംസ്ഥാനങ്ങളില് കനത്ത ജാഗ്രതാനിര്ദ്ദേശം നല്കി.

ഒക്ടോബര് 29 ന് കിഴക്കന്-മധ്യ അറബിക്കടലിലും ഒക്ടോബര് 28 മുതല് 31 വരെ പടിഞ്ഞാറന് മധ്യ അറബിക്കടലിലും മത്സ്യബന്ധനത്തിനായി പോകരുതെന്നും മത്സ്യത്തൊഴിലാളികള്ക്ക് നിര്ദ്ദേശം നല്കി.
ചുഴലിക്കാറ്റിനെത്തുടര്ന്ന് മഹാരാഷ്ട്രയിലെ ദക്ഷിണ കൊങ്കൺ മേഖലയിലെ രത്നഗിരി സിന്ധുദുർഗ് ജില്ലകളിൽ കനത്ത മഴ പെയ്യുകയാണ്. മഹാരാഷ്ട്രയിൽ നാളെവരെ ശക്തമായ മഴകിട്ടുമെന്നാണ് കാലാവസ്ഥാ നിരീക്ഷണ കേന്ദ്രത്തിന്റെ പ്രവചനം.
അതേസമയം ക്യാര് ചുഴലിക്കാറ്റ് കേരളത്തിന് ഭീഷണിയാകില്ലെന്നാണ് വ്യക്തമാകുന്നത്. കേരളം ക്യാർ ചുഴലിക്കാറ്റിന്റെ സഞ്ചാര പഥത്തിലില്ലെന്നും ചുഴലിക്കാറ്റിന്റെ സ്വാധീനഫലമായി കേരളത്തിൽ വിവിധയിടങ്ങളിൽ ഒറ്റപ്പെട്ട ശക്തമായ മഴക്ക് സാധ്യതയുണ്ടെന്നും കാലാവസ്ഥാ നിരീക്ഷണകേന്ദ്രം അറിയിച്ചിട്ടുണ്ട്.
